R$
até
R$

TERRENO COM 7.987,00m² DE ÁREA CONSTRUÍDA EM MOGI MIRIM/SP.

Mogi Mirim - SP Rua Doutor Carlos Augusto Fernandes de Castro, Jardim Bela Vista
  • Edital DEJT
  • Publicação 15/03/2024
  • Horário Fechamento 10:13
  • Avaliação

    3.612.346,74

  • Leiloeiro

    TATIANA PAULA ZANI DE SOUSA (723)

  • Comitente

    TRIBUNAL REGIONAL DO TRABALHO DA 2ª REGIÃO

  • Código Leilão

    26/2024

  • Código Lote

    001649

  • Número Lote

    LOTE 12

  • Habilitados

    455

  • Tipo

    Judicial

  • Recebimento de lances

    Somente online

Descrição

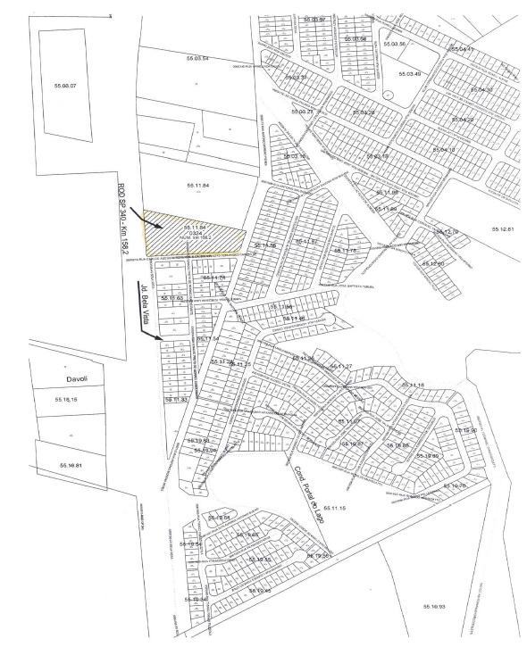
IMÓVEL MATRÍCULA nº 8.521 do Cartório de Registro de Imóveis de Mogi Mirim/SP. INSCRIÇÃO FISCAL nº 55.11.84.0324.001 da Prefeitura Municipal de Mogi Mirim/SP.

DESCRIÇÃO: um TERRENO, situado em Mogi Mirim/SP, na Rodovia Campinas - Aguas da Prata, medindo 93,00m do lado que confronta com a estrada asfaltada Mogi - Campinas; 193,50 metros do lado que confronta com Antonio Manara ou sucessores e 171,30 metros de outro lado onde confronta com a Rua B, do loteamento Jardim Bela Vista, encerrando a área de 11.728,00 metros quadrados, contendo um prédio próprio para indústria, o qual recebeu o nº 45, pela Rua “B”. Conforme certificado pelo Oficial de Justiça (id.4df2ec3): "...Benfeitorias: Um barracão industrial em mau estado de conservação construído em alvenaria, totalizando 7.987,00m² de área construída. Ocupação: O imóvel está ocupado por dois inquilinos, sendo: EDE CARLOS LUCIANO 28893412837 e VITA BRASIL, empresa produtora de paletes e embalagens...". OBSERVAÇÕES: 1) Imóvel objeto de PENHORAS e INDISPONIBILIDADES em outros processos; 2) Verificou-se que o expediente restou silente com relação a eventual isenção dos créditos tributários para o arrematante, assim, ante a informação supra, à luz do decidido pelo Juiz Presidente dos Leilões Judiciais e nos termos do art. 1º, § 7º do Provimento GP/CR nº 07/2021, o arrematante adquire o bem livre de quaisquer ônus tributários. Ficarão a cargo do arrematante os débitos (propter rem) de natureza não tributária que constarem expressamente do edital (art. 1º, § 8º do referido provimento).

Imóvel AVALIADO em R$ 3.612.346,74 (três milhões e seiscentos e doze mil e trezentos e quarenta e seis reais e setenta e quatro centavos).
;;
Local dos bens: Rua Doutor Carlos Augusto F Castro, esquina com Avenida Antônio Moreno Perez, Jardim Maria Bonati Bordignon, Mogi Mirim/SP.


Observações

Lance mínimo do leilão: 40% da avaliação.
Leiloeira Oficial: Tatiana Paula Zani de Sousa
Comissão do Leiloeiro: 5%.

Direito de Preferência

Caso exista interesse no exercício da preferência durante a disputa, conferir atentamente as informações constantes na seção “DIREITO DE PREFERÊNCIA” no edital do leilão do respectivo lote (CPC, art. 892, § 2o e 843, § 1o).

Formas de pagamento
À vista

Utilização de carta de crédito não é permitido.

Em até 30x

Para o envio de propostas condicionais parceladas em até 30 parcelas, consulte as regras do edital.

Localização e Proximidades

Rua Doutor Carlos Augusto Fernandes de Castro, Jardim Bela Vista, Mogi Mirim - SP. CEP 13803128

Histórico de Lances
Data Usuário Parcelamento Automático Valor
Nenhum lance até o momento
Precisa de ajuda? Entre em contato conosco.